Site With FPP- Site 2, 11 Mullyfamore Road, Castlederg, Tyrone, BT81 7YL

POA £
View Slideshow Arrange a Viewing View Map Share
Key Property Information
  • PricePOA £
  • StyleSite
  • Viewable FromNOW
  • Available FromNOW
  • StatusFor Sale

Property Information

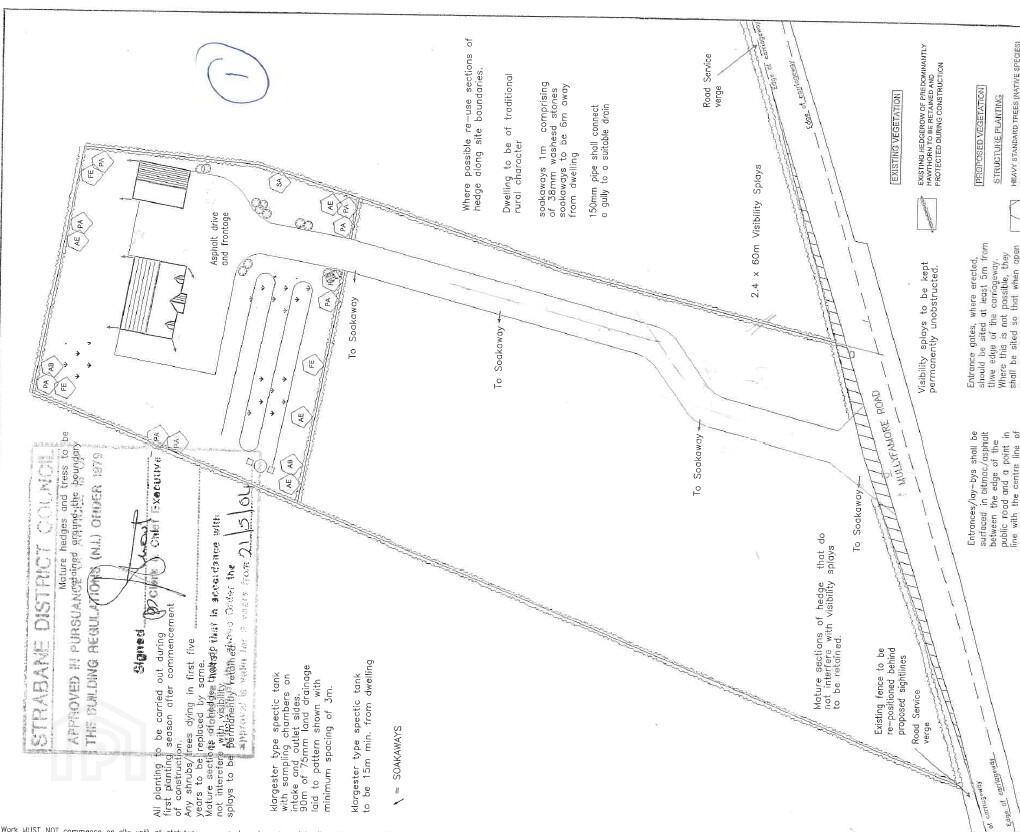
McAteer Solutions Estate Agents are delighted to welcome for sale this superb mixture of two building sites with full planning permission and woodland. The holding spans accross 26.5 acres located along the Mullyfamore Road, Castlederg.

Maps show 15 lots of land, Lot 2 and 4 have FPP, remaining lots are woodland.

Site 2:

  • 1.72 Acres
  • FPP
  • Road frontage site
  • Architect drawings attached
  • Footings dug and poured

Site 4:

  • 1.58 Acres
  • FPP
  • Road frontage site
  • Architect drawings attached
  • Footings dug and poured

This is an excellent opportunity to acquire countryside site's with FPP and/ or substantial agriculture land, situated in a highly sought after area of Mullyfamore.

For further details and viewing arrangements please contact our Toomebridge office on 028 79659 444 or email: info@mcateersolutions.co.uk

www.mcateersolutions.co.uk

Branches: Belfast, Toomebridge, Derry & London

Location